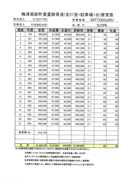
売地
「利回り」は、当該不動産の1年間の予定賃料収入の不動産取得対価に対する割合であり、公租公課その他当該物件を維持するために必要な費用の控除前のものです。
また、予定賃料収入が確実に得られる事を保証するものではありません。

※地図上の物件位置は近隣に物件が所在することを表すものであり、実際の物件所在地とは異なる場合がございます。
075-406-0007
営業時間:9:00~18:00 / 定休日:日曜祝日
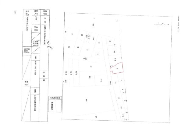
| 所在地 | 京都府京都市右京区梅津高畝町 | ||
|---|---|---|---|
| 交通 |
京福電気鉄道嵐山本線 「嵐電天神川」駅
徒歩16分 京福電気鉄道嵐山本線 「蚕ノ社」駅 徒歩20分 京福電気鉄道嵐山本線 「太秦広隆寺」駅 徒歩21分 |
||
| 価格 | 3億7,700万円 | 坪単価 | 537.42万円 |
| 土地面積 | 231.93㎡ | 建築条件 | 有 |
| 土地権利 | 所有権 | 建ぺい率/容積率 | 80%/ 300% |
| 私道負担面積 | セットバック | ||
| 接道状況 | 一方 (北側 公道10.9m 間口13.9m) | ||
| 地目 | 宅地 | 地勢 | |
| 土地の権利形態 | 開発面積 | ||
| 都市計画 | 市街化区域 | 用途地域 | 近隣商業地域 |
| その他法令上の制限 | 20m第3種高度地区・山並み背景建造物修景地区・居住誘致地区 | ||
| 国土法届出 | 不要 | 取引態様 | 仲介 |
| 現況 | 更地 | 引渡し | 相談 |
| 設備条件 | 公共下水 / 公営水道 / 都市ガス / 宅配ボックス / 防犯カメラ / 24時間ゴミ出し可 / フローリング / バルコニー / 電気有 / 照明器具付き / 駐輪場 / システムキッチン / バス・トイレ別 / 浴室乾燥機 / 洗面台 / 洗髪洗面化粧台 / エアコン / CS / BS / ネット使用料無料 / オートロック / TVモニタ付インターホン / ディンプルキー | ||
| その他条件 | |||
| 備考 | |||
| 周辺の学校 | |||
| 物件番号 | 101061227 | ||
| 情報公開日 | 2026年2月2日 | 次回更新予定日 | 2026年2月16日 |
| 取引条件の有効期限 | 2026年2月16日 | ||
| 取扱い会社 |
創業元治元年 小林工務店 〒602-8203 京都府京都市上京区鏡石町一条通大宮西入36 京都府知事(3)第13549号 公益社団法人 京都府宅地建物取引業協会 |
||
075-406-0007
営業時間:9:00~18:00 / 定休日:日曜祝日
| 所在地 | 物件の住所を表示。(詳細住所は表示していない場合もある) | ||
|---|---|---|---|
| 交通 | 物件(部屋)の沿線駅・バス停を表示。(複数駅・バス停の利用が可能な場合は最大3件まで) | ||
| 間取り/詳細 | 数字は居室数を表示。LDKはそれぞれ「リビング」「ダイニング」「キッチン」、S(納戸)とは「納戸」「サービスルーム」「マルチルーム」「フリールーム」など建築基準法第28条に適合していないため、居室と認められない納戸その他の部分を表す。 | ||
| 価格 | 販売されている住戸の価格を表示。仲介手数料は含まない。 | ||
| 管理費 | 共同住宅の設備その他共用部分の維持および管理をするために必要な費用を表示。 | ||
| 修繕積立金 | 共用部分の修繕のために積立てる金額を表示。 | ||

【土地図】