売地
「利回り」は、当該不動産の1年間の予定賃料収入の不動産取得対価に対する割合であり、公租公課その他当該物件を維持するために必要な費用の控除前のものです。
また、予定賃料収入が確実に得られる事を保証するものではありません。

※地図上の物件位置は近隣に物件が所在することを表すものであり、実際の物件所在地とは異なる場合がございます。
075-406-0007
営業時間:9:00~18:00 / 定休日:日曜祝日
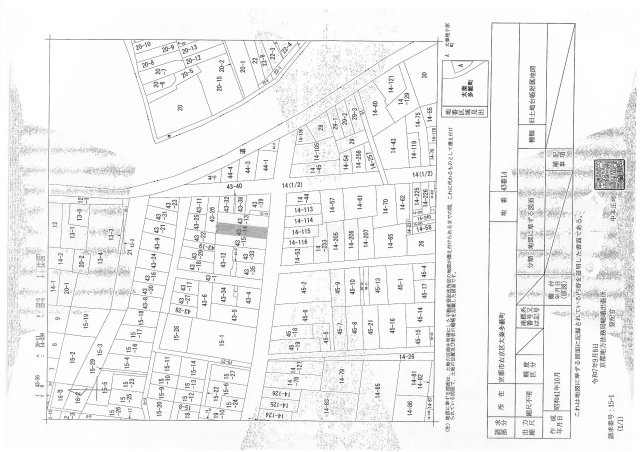
| 所在地 | 京都府京都市右京区太秦多藪町 | ||
|---|---|---|---|
| 交通 |
京福電気鉄道北野線 「撮影所前」駅
徒歩4分 京福電気鉄道嵐山本線 「帷子ノ辻」駅 徒歩5分 京福電気鉄道嵐山本線 「太秦広隆寺」駅 徒歩6分 |
||
| 価格 | 1億2,000万円 | 坪単価 | 375.12万円 |
| 土地面積 | 105.78㎡ | 建築条件 | 有 |
| 土地権利 | 所有権 | 建ぺい率/容積率 | 60%/ 200% |
| 私道負担面積 | セットバック | ||
| 接道状況 | 一方 (南側 公道5.2m 間口7.0m) | ||
| 地目 | 宅地 | 地勢 | |
| 土地の権利形態 | 開発面積 | ||
| 都市計画 | 市街化区域 | 用途地域 | 第一種住居地域 |
| その他法令上の制限 | 準防火地域/15m第二種高度地区・山並み背景型建造物修繕地区・遠景デザイン保全地区 | ||
| 国土法届出 | 不要 | 取引態様 | 仲介 |
| 現況 | 古家あり | 引渡し | 相談 |
| 設備条件 | |||
| その他条件 | |||
| 備考 | |||
| 周辺の学校 | |||
| 物件番号 | 101586158 | ||
| 情報公開日 | 2026年3月2日 | 次回更新予定日 | 2026年3月16日 |
| 取引条件の有効期限 | 2026年3月16日 | ||
| 取扱い会社 |
創業元治元年 小林工務店 〒602-8203 京都府京都市上京区鏡石町一条通大宮西入36 京都府知事(3)第13549号 公益社団法人 京都府宅地建物取引業協会 |
||
075-406-0007
営業時間:9:00~18:00 / 定休日:日曜祝日
| 所在地 | 物件の住所を表示。(詳細住所は表示していない場合もある) | ||
|---|---|---|---|
| 交通 | 物件(部屋)の沿線駅・バス停を表示。(複数駅・バス停の利用が可能な場合は最大3件まで) | ||
| 間取り/詳細 | 数字は居室数を表示。LDKはそれぞれ「リビング」「ダイニング」「キッチン」、S(納戸)とは「納戸」「サービスルーム」「マルチルーム」「フリールーム」など建築基準法第28条に適合していないため、居室と認められない納戸その他の部分を表す。 | ||
| 価格 | 販売されている住戸の価格を表示。仲介手数料は含まない。 | ||
| 管理費 | 共同住宅の設備その他共用部分の維持および管理をするために必要な費用を表示。 | ||
| 修繕積立金 | 共用部分の修繕のために積立てる金額を表示。 | ||

【外観】